[新疆维吾尔自治区·吐鲁番市·高昌区][挂牌出让]吐鲁番市国有土地使用权挂牌出让(高区国储告字〔2026〕2号)[]
距公告截止截止时间剩余
吐鲁番市国有建设用地使用权挂牌
出让公告
(高区国储告字〔2026〕2号)
根据《中华人民共和国土地管理法》《招标拍卖挂牌出让国有建设用地使用权规定》(国土资源部令第39号)等有关法律法规及文件的规定,经高昌区人民政府批准,吐鲁番市自然资源局高昌区分局委托吐鲁番市公共资源交易有限公司组织以下国有建设用地使用权挂牌出让活动,现将有关事宜公告如下:
一、出让人及交易平台名称、场所
出让人名称:吐鲁番市自然资源局高昌区分局
出让人地址:吐鲁番市高昌区西环北路2731号
交易平台名称:吐鲁番市公共资源交易有限公司
交易平台地址:吐鲁番市高昌区丝绸大道4100号吐鲁番政务服务中心
二、挂牌出让地块的基本情况和规划指标要求表
|
|
|
序号
|
宗地
编号
|
宗地位置
|
宗地面积
(㎡)
|
主要
用途
|
开发程度
|
建设时间
|
出让
年限(年)
|
规划指标要求
|
出让
起始价
(万元)
|
竞买
保证金
(万元)
|
增价
幅度
(万元)
|
项目产业要求
|
土地级别
|
|||
|
容积
率(%)
|
建筑密度(%)
|
绿化
率(%)
|
建筑限高(米)
|
|||||||||||||
|
1
|
高挂[2026]7号
|
大河沿镇西侧3.2公里处
|
12051
|
工业用地
|
宗地外“五通”
|
以具体合同开工时间为准
|
50
|
≥0.8
|
≥40
|
≤20
|
≥24
|
174
|
174
|
5
|
符合产业政策及工地需求
|
参照四级
|
|
2
|
高挂[2026]8号
|
乌鲁木齐路北侧、经二路西侧、经一路东侧
|
8481
|
商务金融用地
|
宗地外“七通”
|
以具体合同开工时间为准
|
40
|
≥1.0且≤1.5
|
≤40
|
≥20
|
≥40
|
398
|
199
|
5
|
符合产业政策及工地需求
|
四级
|
|
3
|
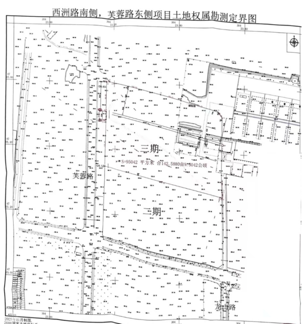
高挂[2026]9号
|
西州路南侧、芙蓉路东侧
|
95042
|
工业用地
|
宗地外“五通”
|
以具体合同开工时间为准
|
50
|
≥0.8
|
≥40
|
≥10且≤20
|
≤20
|
1502
|
751
|
10
|
符合产业政策及工地需求
|
四级
|
三、竞买人的资格要求
1.中华人民共和国境内的法人、自然人和其他组织除法律法规另有规定外均可申请参加,申请人应当单独申请。
2.未在失信联合惩戒名单内。
四、交易时间、地点(北京时间)
(一)交易时间:
1.公告及报名申请时间:2026年1月22日至2026年2月18日19:30。
2.网上挂牌报价时间:2026年2月11日至2026年2月20日16:00。
3.网上限时竞价时间:2026年2月20日17:00开始。竞买人持 CA 数字证书登录全国公共资源交易平台(新疆)吐鲁番市公共资源交易网进行竞价。
五、交易流程
(一)报名前的准备。
1.竞买人需要首先在吐鲁番市公共资源交易网完成网上注册,选择公共资源交易主体类型为“交易乙方”,凭账号密码登录吐鲁番市公共资源交易网(http://www.tlfsggzy.cn/tulufanggzy/homepage.html),完善诚信库基本信息,做好平台入库工作,操作详情见吐鲁番市公共资源交易网-帮助中心-《土地使用权交易操作指南—竞买人》。
2.竞买人取得CA有效数字证书后,参与网上申请和竞买,CA有效数字证书包括:企业、法定代表人数字证书及签章。CA数字认证支持远程在线办理,办理流程、操作手册及联系方式详见“吐鲁番市公共资源交易网-办事指南-《吐鲁番市公共资源交易平台CA数字证书和电子签章办理须知》”。目前竞买人可选择新疆CA或江苏翔晟两家公司办理有关证书,现场领取CA数字证书如遇困难,可联系CA公司邮寄。
(二)报名申请。
竞买申请人可于2026年1月22日至2026年2月18日19:30前登录吐鲁番市公共资源交易网站(http://www.tlfsggzy.cn/tulufanggzy/homepage.html)首页--服务指南--下载中心查看《土地使用权交易操作指南—竞买人》指引,进行网上报名、上传报名资料和缴纳竞买保证金。
报名资料包括:
1.国有建设用地使用权竞买申请书(见附件)
2.国有建设用地使用权竞买承诺书(见附件)
3.统一社会信用代码的营业执照(原件彩色扫描加盖公章)
4.银行开户许可证或基本存款账户信息(原件彩色扫描加盖公章)
5.法定代表人身份证明(见附件)
6.授权委托书(见附件)
7.保证金银行回单
8.提供在国家企业信用信息公示系统(https://www.gsxt.gov.cn/index.html)及信用中国(https://www.creditchina.gov.cn)平台未被列入经营异常名录或严重违法失信企业(黑名单)及重点领域严重失信主体名单查询的截图或报告(原件彩色扫描加盖公章)。
注:《国有建设用地使用权竞买申请书》分为企业申请和个人申请两种。提交的报名材料需加盖公章;无委托代理人的无须提交第6份材料;按要求上传清晰的报名材料电子版文件PDF格式。
(三)资格确认。
竞买人的报名申请资料由交易平台在线进行资格审查,交易平台确认后出具《竞买资格确认书》。
(四)挂牌报价、竞价。
增价方式:本次国有建设用地使用权出让采用增价报价、竞价方式,每次增价幅度为一个增价幅度或增价幅度的整数倍。
1.网上挂牌报价
1.报价时间:2026年2月11日至2026年2月20日16:00前。
2.报价方式:网上报价。网址:吐鲁番市公共资源交易网(http://www.tlfsggzy.cn/tulufanggzy/homepage.html)。竞买人必须在2026年2月11日至2026年2月20日16:00前至少进行一次网上有效报价,初次报价不得低于起始价。
2.网上挂牌限时竞价
1.限时竞价时间:2026年2月20日17:00开始。
2.限时竞价方式:网上竞价。报价期满进入限时竞价期(适用于2个及以上竞买申请人),限时竞价周期为120秒。网址:吐鲁番市公共资源交易网(http://www.tlfsggzy.cn/tulufanggzy/homepage.html)。获得竞买资格的申请人可按限时竞价时间自行登录网址参与竞价活动。
六、竞得人确认原则及出让合同签订
(一)本次国有建设用地使用权挂牌出让按照价高者得的原则确定竞得人。挂牌期限届满,系统显示最高报价及其报价者,并询问其他竞买人是否愿意继续竞价。有竞买人表示愿意继续竞价的,挂牌出让转入限时竞价,通过限时竞价确定竞得人。本项目限时竞价周期为120秒。限时竞价期内如无人加价,则自由报价期最高出价者即为成交人,该标的竞价活动结束;在限时竞价周期内如出现有效报价,则进入新的限时竞价周期;在一个限时竞价周期内如未出现有效报价,则报价结束,当前最高有效报价者即为成交人,该标的竞价活动结束,按照下列规定确定是否成交:
(1)在挂牌期限内只有1个竞买人报价,且报价不低于底价,并符合其他条件的,挂牌成交。
(2)在挂牌期限内有2个或者2个以上的竞买人报价的,出价最高者为竞得人。
(3)在挂牌期限内无应价者或者竞买人的报价均低于底价或者均不符合其他条件的,挂牌不成交。
(二)竞价结束后状态变为“竞价结束”,本次报价结束,可以通过电子竞价系统查看报价结果。竞价结束且无异常情况,吐鲁番市公共资源交易有限公司将对本次竞价结果进行核查,竞价结果仅作为成交依据,最终成交结果以结果公告为准。结果公告发布后,竞得人与交易公司在5个工作日内签订《国有建设用地使用权成交确认书》,并参照《关于自治区国土资源系统土地交易公司收费标准的通知》(新发改医〔2010〕1809号)规定缴纳土地使用权交易费。
(三)竞得人应按《国有建设用地使用权成交确认书》约定的期限与出让人签订《国有建设用地使用权出让合同》,并按合同约定缴纳土地出让金。无故未按成交确认书约定期限签订出让合同的,视为违约,竞买保证金不予退还,并将其列入失信联合惩戒名单。
七、竞买保证金的交纳和处置:
1.保函:
(1)线下办理保函。竞买人应预留足够线下办理保函的时间,并按照报名要求扫描并上传,交易平台确认后出具《竞买资格确认书》。
(2)保函有效期:自报名截止时间起120天(如遇不可预见的特殊情况须顺延)。
(3)保函退保:项目发生中止、暂停、终止的可进行退保,除上述情况外均不予退保。
2.保证金:
(1)竞买人资质审查通过后缴纳保证金,保证金缴纳银行账户名称必须与报名单位或公司名称一致,并将银行回单等缴纳凭证扫描上传,交易平台确认后出具《竞买资格确认书》。建议上传缴纳保证金凭证、保函(单)原件彩色扫描件,应至少在公告期满前3个工作日内完成,以便竞买人在公告期满前获得《竞买资格确认书》,如因竞买人提供凭证等其他原因,导致竞买人未在公告期满前获得《竞买资格确认书》,逾期责任自行负责。
(2)保证金缴纳截止时间:2026年2月18日19:30前到账。
(3)保证金退还:未竞得人的保证金将于延时竞价结束后5个工作日内退还至原账户。竞得人的保证金按照“多退少补”的原则,转为受让地块的定金,多余的将在竞得人按公告、成交确认书和国有建设用地使用权出让合同约定履行义务后5个工作日内返还原账户。项目报名截止前,取消报名的保证金将于项目报名截止后5个工作日内退还至原账户。项目发生中止、暂停、终止的,在其公告发布后5个工作日内退还至原账户。
注:挂牌成交后,按照《成交确认书》约定的时间与出让人签订《国有建设用地使用权出让合同》,合同签订后保证金转作受让地块的定金;其他竞买人缴纳的竞买保证金,在挂牌活动结束后5个工作日内予以退还,不计利息。
保证金汇款账户信息
名 称:吐鲁番市公共资源交易有限公司
开户行:中国工商银行股份有限公司吐鲁番市分行
行 号: 102883000022
|
序号
|
宗地编号
|
保证金账号
|
|
1
|
高挂[2026]7号
|
9558833005000020016
|
|
2
|
高挂[2026]8号
|
9558833005000020024
|
|
3
|
高挂[2026]9号
|
9558833005000020032
|
注:1.请谨慎汇交保证金,因竞买人原因汇错款项或汇错账户,项目未结束前系统无法退回款项。若因此造成报名不成功者,后果自负。2.请备注公司名称及宗地编号
八、交易异议的处理
对交易过程产生的异议,由交易公司负责予以解释。对出让标的产生的争议,由出让人负责予以解释。
九、提示
1.提交竞买申请前,竞买申请人应对出让宗地进行实地踏勘,须全面阅读出让公告及挂牌文件,全面了解宗地现状;竞买申请人一旦提交竞买申请,即视为对出让公告及挂牌文件内容全部理解无异议,自愿受其约束,并对相关承诺承担法律责任。
2.因法律法规和政策发生重大调整的,国有建设用地使用权的出让方和竞得方应按新的法律法规和政策执行。
十、款项支付
|
土地交易收费费率表(交易平台收取)
|
|||||
|
交易类型
|
计费基数
|
金额(万元)
|
费率
|
缴费金额
|
缴费主体
|
|
土地所有权出让(招、拍、挂)土地使用权转让(非住宅、别墅)
|
交易额
|
100以下(含100)
|
2%
|
100×2%=2万元
|
土地使用权出让,由受让方承担;
土地使用权转让,交易双方各承担50%。
|
|
100-500(含500)
|
1.5%
|
(500-100)×1.5%=6 万元
|
|||
|
500-1000(含1000)
|
0.8%
|
(1000-500)×0.8%=4万元
|
|||
|
1000-5000(含5000)
|
0.6%
|
(5000-1000)×0.6%=24 万元
|
|||
|
5000以上
|
0.4%
|
(6000-5000)×0.4%=4万元
|
|||
|
土地使用权抵押(非住宅、别墅)
|
抵押额
|
100以下(含100)
|
0.8‰
|
100×0.8‰=0.8万元
|
抵押人
|
|
100-500(含500)
|
0.6‰
|
(500-100)×0.6‰=2.4万元
|
|||
|
500-1000(含1000)
|
0.4‰
|
(1000-500)×0.4‰=2万元
|
|||
|
1000-2000(含2000)
|
0.2‰
|
(2000-1000)×0.2‰=2 万元
|
|||
|
2000-5000(含5000)
|
0.1‰
|
(5000-2000)×0.6‰=18万元
|
|||
|
5000以上
|
0.05‰
|
(6000-5000)×0.05‰=0.5万元
|
|||
|
(一)根据《关于自治区国土资源系统土地交易公司收费标准的通知》(新发改医价〔2010〕1809号)规定,土地使用权交易费以成交额为基数,按差额累进法计算,一次性收取。
例如:成交金额为6000万元,应交纳交易服务费为:2+6+4+24+4=40万元。
|
|||||
十一、其他
(一)现场踏勘:有意竞买者自行组织现场踏勘(费用自理)。
(二)竞得人于成交之日起30日内与出让人签订国有建设用地使用权出让合同,并按合同约定缴纳土地出让金。
(三)竞得人付清全部土地出让金后,可依法申请办理土地登记。
(四)竞得人有下列行为之一的,视为违约,交易平台可取消其竞得资格,成交结果废止;造成损失的,竞得人应当依法承担赔偿责任:
1.提供虚假文件、隐瞒事实或采取行贿、串通等手段竞得的;
2.竞得人逾期或拒绝签订国有建设用地使用权成交确认书,竞得人逾期不签订或者拒绝签订国有建设用地使用权出让合同的;
3.竞得人未按约定的时间付清约定的交易服务费等相关费用的;
4.不按《国有建设用地使用权出让合同书》约定支付国有建设用地使用权土地出让金的。
5.其他依法应当认定为违约行为的情形。
(五)本次国有建设用地使用权出让事项如有变更,将发布变更公告。
(六)本次国有建设用地使用权挂牌出让事宜可浏览:
1.吐鲁番市公共资源交易网
(http://ggzy.tlfzw.cn/tulufanggzy)
2.中国土地市场网(https://www.landchina.com)
出让人联系人:努热曼·阿不来提
咨询电话:0995-8525146
交易平台联系人:热孜宛古丽·尼亚孜
联系电话:15509958321
吐鲁番市公共资源交易有限公司
2026年1月22日
附件:
1.国有建设用地使用权竞买申请书(企业申请)
2.国有建设用地使用权竞买申请书(个人申请)
3.国有建设用地使用权竞买承诺书
4.法定代表人身份证明
5.授权委托书
